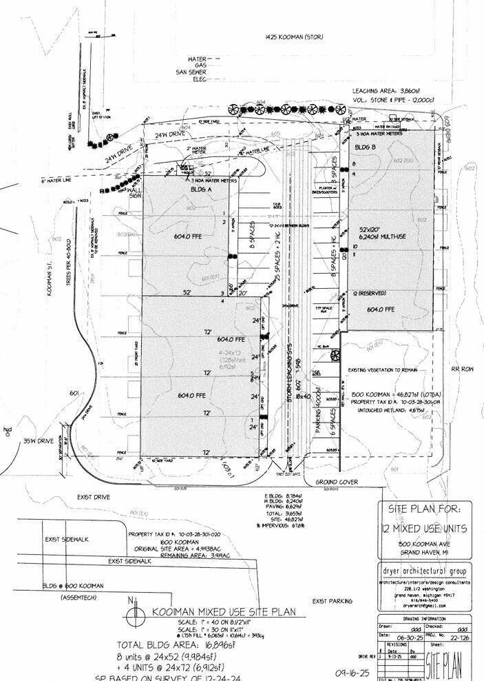
1500 Kooiman Avenue #2 Grand Haven, MI 49417

UPDATED:
Key Details
Property Type Commercial
Sub Type Business
Listing Status Active
Purchase Type For Sale
Square Footage 1,248 sqft
Price per Sqft $221
Municipality Grand Haven City
MLS Listing ID 25043895
Property Sub-Type Business
Source Michigan Regional Information Center (MichRIC)
Property Description
Location
State MI
County Ottawa
Area North Ottawa County - N
Direction Conveniently located just off US-31, 1500 Kooiman Avenue is easy to find from any direction. From US-31, take the Comstock Street exit and head east. In about half a mile, turn left onto Kooiman Avenue. Continue a short distance, and the property will be on your right.
Interior
Interior Features Broadband
Heating Forced Air
Cooling Central Air
Inclusions Non-Applicable
Exterior
Utilities Available Natural Gas Available, Electricity Available, Cable Available, Storm Sewer, None
View Y/N No
Building
Structure Type Block,Metal Siding
New Construction Yes
Schools
School District Grand Haven
Others
Tax ID 70-03-28-301-019
Acceptable Financing Conventional, Cash
Listing Terms Conventional, Cash
GET MORE INFORMATION



